bán 3 lô đất mặt tiền đường số 3 phường binh hưng hòa LH 0946567878 Hiểu
Bán lô đất mặt tiền đường số 3, phường bình hưng hòa
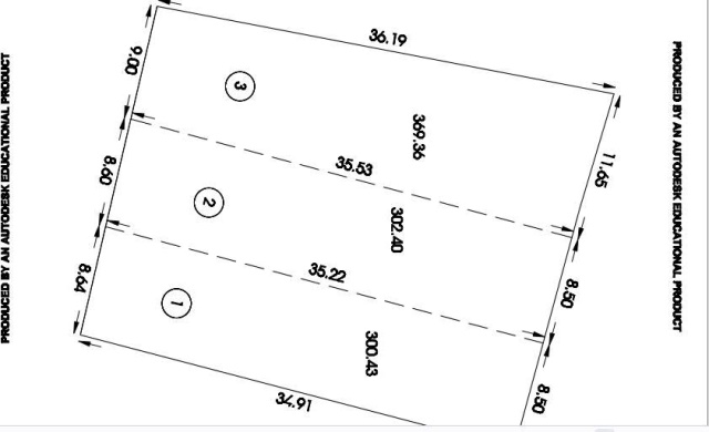
DT 8,5 x 35 hiện trạng đất trống
Bán lô đất mặt tiền đường số 3, phường bình hưng hòa
Lô 1 diện tích 300m2
Lô 2 diện tích 302m2
Lô 3 diện tích 369m2
Giá bán 85 triệu/m2
Tiện xây mới,trục đường số 3 đang dựa theo kênh tham lương để phát triển, quý khách hàng mua đầu tư nên chọn thời điểm này để mua.
Pháp lý sổ hồng đầy đủ
LH 0946567878 _ 0888755539 Hiểu

Địa chỉ: 87 Đường S11, phường tây thạnh, TP Hồ Chí Minh
Chuyên nhận mua bán ký gửi:
- Căn hộ chung cư cao cấp TP HCM
- Nhà phố, biệt thự, nhà hẻm.... cho thuê kho, xưởng, nhà ở cao cấp
- Xin phép xây dựng, tách thửa, hợp thửa, hoàn công...
- Hỗ trợ ngân hàng vay vốn.
Website: http://batdongsanangia.com.vn/
Fanpace: https://www.facebook.com/bdsangia
Mail: angiacity@gmail.com
Ngày đăng: 05/01/2026
Giá: 85 tỷ
Ngày đăng: 18/12/2025
Giá: 72 tỷ
Ngày đăng: 27/11/2025
Giá: 32 tỷ
Ngày đăng: 26/11/2025
Giá: 35 tỷ
Ngày đăng: 21/10/2025
Giá: 50 tỷ
Ngày đăng: 08/09/2025
Giá: 34 tỷ
Ngày đăng: 22/08/2025
Giá: 125 tỷ
Ngày đăng: 07/07/2025
Giá: 29.5 tỷ
2024 @ BDS An Gia Group